Off Topic
Ich hätte da keine Bedenken ins Auge des Hurrikans zu fliegen mit der Hercules C-130, der "häßliche Vogel" ist ziemlich das stabilste auf dem MarktBin selber viele Male in Hercs mitgeflogen, schlimme Turbulenzen wie die kurz vor dem Auge steckt der Flieger gut weg, das beruhigt die Magengrube ungemein
Trotzdem: Hut ab vor den Leistungen der Meteorologen und der Crew!
Werbung
[Dean] - Erster Kapverdenhurrikan der Saison
-
nordspot
- Beiträge: 2328
- Registriert: So 18. Mär 2007, 16:32
- Geschlecht: männlich
- Wohnort: D-78464 Konstanz
- Hat sich bedankt: 835 Mal
- Danksagung erhalten: 295 Mal
- Kontaktdaten:
[Dean] - Erster Kapverdenhurrikan der Saison
@ Edy:
nordspot Konstanz
-
Urbi
[Dean] - Erster Kapverdenhurrikan der Saison
@all
Hier noch eine schöne Animation:
http://de.weather.com/maps/worldregions ... mated.html
Grüsse Urbi
Hier noch eine schöne Animation:
http://de.weather.com/maps/worldregions ... mated.html
Grüsse Urbi
- Peter,Walchwil ZG
- Beiträge: 1665
- Registriert: Fr 10. Mai 2002, 18:03
- Wohnort: 6318 Walchwil 500m ü M
- Kontaktdaten:
[Dean] - Erster Kapverdenhurrikan der Saison
Hier ein Chaservideo in Kinston von Hurrikan Dean:
http://stormvideographer.com/blog/2007/ ... ca-update/
Wunderground meldete in Kinston eine Spitzenböe von 277.8km/h. Wie weit man diesen Angaben trauen kann, ist jedem selbst überlassen.
Zum Glück zieht das Auge des Hurrikans doch einige 100km südlich von Cancun über Yucatan. So scheint unser Hotel hoffentlich mit einem blauen Auge davonzukommen.
Hier noch eine gute Seite mit allen wichtigen Infos schön zusammengefasst über den Hurrikan:
http://www.crownweather.com/tropical.html
http://stormvideographer.com/blog/2007/ ... ca-update/
Wunderground meldete in Kinston eine Spitzenböe von 277.8km/h. Wie weit man diesen Angaben trauen kann, ist jedem selbst überlassen.
Zum Glück zieht das Auge des Hurrikans doch einige 100km südlich von Cancun über Yucatan. So scheint unser Hotel hoffentlich mit einem blauen Auge davonzukommen.
Hier noch eine gute Seite mit allen wichtigen Infos schön zusammengefasst über den Hurrikan:
http://www.crownweather.com/tropical.html
Grüsse Peter
-
Kurt
- Beiträge: 671
- Registriert: Sa 17. Mai 2003, 14:30
- Geschlecht: männlich
- Wohnort: 4900 Langenthal
[Dean] - Erster Kapverdenhurrikan der Saison
Guten Abend
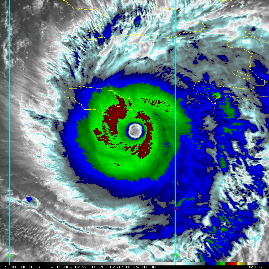
Nachtrag zu gestern : Major Hurricane DEAN um 1852 UTC 19.August 2007 südöstlich von Jamaika
Das Windfeld von DEAN um 0000 UTC 20.August

Grüessli, Kurt
- Editiert von Kurt am 20.08.2007, 19:22 -
Nachtrag zu gestern : Major Hurricane DEAN um 1852 UTC 19.August 2007 südöstlich von Jamaika
Das Windfeld von DEAN um 0000 UTC 20.August
Grüessli, Kurt
- Editiert von Kurt am 20.08.2007, 19:22 -
-
Thomas Jordi (ZH)
- Beiträge: 890
- Registriert: Mi 26. Mai 2004, 08:54
- Geschlecht: männlich
- Wohnort: 8052 Zürich
- Hat sich bedankt: 4 Mal
- Danksagung erhalten: 244 Mal
-
Kurt
- Beiträge: 671
- Registriert: Sa 17. Mai 2003, 14:30
- Geschlecht: männlich
- Wohnort: 4900 Langenthal
[Dean] - Erster Kapverdenhurrikan der Saison
Bereits nächster Tropensturm in dieser Woche auf dem Atlantik ?
Am vergangenen Wochenende hatte das kanadische Modell CMC für die kommenden Tage einen neuen Tropensturm vorausgesagt. (in den Berechnungen war sogar eine starker Hurrikan über Florida drin (!) )
und siehe da....
Disturbance Invest (AL 92) ist geboren ! (demnächst Hurrikan FELIX ?)
Vorhersage der Modelle : Zugrichtung von AL92

Vorhersage der Modelle : Intensität von AL92
nun zurück zu Hurrikan DEAN
Gruss, Kurt
Am vergangenen Wochenende hatte das kanadische Modell CMC für die kommenden Tage einen neuen Tropensturm vorausgesagt. (in den Berechnungen war sogar eine starker Hurrikan über Florida drin (!) )
und siehe da....
Disturbance Invest (AL 92) ist geboren ! (demnächst Hurrikan FELIX ?)
Vorhersage der Modelle : Zugrichtung von AL92
Vorhersage der Modelle : Intensität von AL92
nun zurück zu Hurrikan DEAN
Gruss, Kurt
- Peter,Walchwil ZG
- Beiträge: 1665
- Registriert: Fr 10. Mai 2002, 18:03
- Wohnort: 6318 Walchwil 500m ü M
- Kontaktdaten:
[Dean] - Erster Kapverdenhurrikan der Saison
@Thomas,
180kt Mittelwind oder Böen sind aber über 300km/h, exakt 333km/h Windgeschwindigkeit, darum meine Zweifel über die verschiedenen Angaben.
180kt Mittelwind oder Böen sind aber über 300km/h, exakt 333km/h Windgeschwindigkeit, darum meine Zweifel über die verschiedenen Angaben.
Grüsse Peter
-
Thomas Jordi (ZH)
- Beiträge: 890
- Registriert: Mi 26. Mai 2004, 08:54
- Geschlecht: männlich
- Wohnort: 8052 Zürich
- Hat sich bedankt: 4 Mal
- Danksagung erhalten: 244 Mal
[Dean] - Erster Kapverdenhurrikan der Saison
@Peter: sorry, mein Fehler. Der 277er war tatsächlich der 00Z METAR.
2007/08/20 00:00
MKJP 200000Z E11099OO150KT 0KM BKN008 SCT010CB OVC080 25/24 Q1001
bei wunderground wurde der so decodiert:
Wind: 173 mph / 278 km/h / from the ESE
Wind Gust: -
2007/08/20 00:00
MKJP 200000Z E11099OO150KT 0KM BKN008 SCT010CB OVC080 25/24 Q1001
bei wunderground wurde der so decodiert:
Wind: 173 mph / 278 km/h / from the ESE
Wind Gust: -
- Alfred
- Beiträge: 10469
- Registriert: Mo 21. Jul 2003, 16:23
- Geschlecht: männlich
- Wohnort: 8037 Zürich
- Hat sich bedankt: 49 Mal
- Danksagung erhalten: 90 Mal
[Dean] - Erster Kapverdenhurrikan der Saison
Sali zäme
Eine Animation mit schräg einfallendem Morgenlicht bis zum Mittag, wo die Struk-
turen nicht mehr so schön sichtbar sind. (!) 958 KB, grosse Datei — kleine Bilder.
http://www.sturmforum.ch/forum_uploads/ ... d_frei.gif
Hoffen wir am Abend auf schönes, wolkenfreies Wetter, damit das Satbild ungetrübt ist
!
Grüess, Alfred
[hr]
Eine Animation mit schräg einfallendem Morgenlicht bis zum Mittag, wo die Struk-
turen nicht mehr so schön sichtbar sind. (!) 958 KB, grosse Datei — kleine Bilder.
http://www.sturmforum.ch/forum_uploads/ ... d_frei.gif
Hoffen wir am Abend auf schönes, wolkenfreies Wetter, damit das Satbild ungetrübt ist
Grüess, Alfred
[hr]
[Dean] - Erster Kapverdenhurrikan der Saison
Hallo zäme,
eine farblich bearbeitete Sat-Animation zur aktuellen Position:
Auf Yucatan möchte ich jetzt nicht mehr sein.
eine farblich bearbeitete Sat-Animation zur aktuellen Position:
Auf Yucatan möchte ich jetzt nicht mehr sein.
Grüsse aus dem Seeland
Chrigu (Kerzers)
Chrigu (Kerzers)
